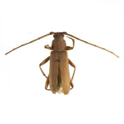
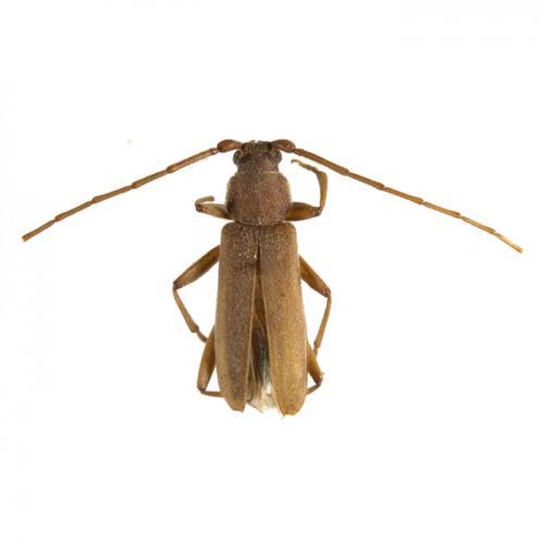
Vesperus xatarti
Orden: Coleoptera
Familia: Cerambycidae
Nombre científico: Vesperus xatarti
Nombre común: castañeta de la vid
Afecta a: vid
Caracteres diagnósticos
| Estado | Tamaño | Características |
|---|---|---|
| Larva | 25 mm | En sus primeros estadios tiene forma cilindrica, y está recubierta de pelos largos, luego se va volviendo rechoncha. Es de color blanco con pelos rojizos y sus patas son muy cortas. |
| Adulto | 20-30 mm | De color marrón. El macho tiene las antenas igual de largas que el cuerpo. La hembra es algo mayor y tiene las antenas más cortas que el cuerpo. |
| Huevo | 2 mm | De forma ovalada y color blanco, agrupados en placas. |
Ciclo fenológico
En otoño aparecen los primeros adultos escalonadamente. En invierno la hembra realiza la puesta bajo la corteza de la planta. Al final del invierno o ya entrada la primavera, salen las larvas que se dirigen a las raíces para alimentarse de ellas durante dos o tres años hasta completar su desarrollo. A continuación pupan y aparecen los nuevos adultos cerrándose el ciclo.
Generaciones anuales
1 cada 3 o 4 años
Síntomas / Daños
Las larvas muerden las raíces.
Los daños más importantes se producen en plantas jóvenes. Sintomas tipicos de mal funcionamiento del sistema radical; falta de vigor, decoloración y descenso de la producción, en ocasiones puede morir la planta. Los ataques suelen aparecer en rodales.
Pese a todo esta plaga no es demasiado importante.
Control y Tratamiento para castañeta de la vid
Químico
Normalmente no se realizan tratamientos, ya que una vez la larva de castañeta de la vid penetra en el suelo los tratamientos son prácticamente ineficaces.
Medidas culturales
Labrando el terreno se destruyen muchas larvas.
Esta plaga prefiere suelos secos y pedregosos.
Otros
No confundir los síntomas con acariosis, hongos de madera o del suelo.





